• Application Note

Tools to Assist in Moving Established Methods from an Originator HPLC System to an Alliance™ iS HPLC System

Tools to Assist in Moving Established Methods from an Originator HPLC System to an Alliance™ iS HPLC System

  • Kaveh Amini
  • Paula Hong

Abstract

Transferring a method from a legacy HPLC instrument to a new HPLC system can be challenging. Differences in system characteristics, including dwell volume and or gradient delay, can produce retention time shifts when transferring a gradient method between two HPLC Systems. In addition, creating a new instrument method and copying settings from one instrument method to another can potentially introduce transcription errors. Using a set of embedded software tools can reduce error from these manual processes. In this work, two software tools will be used to reduce error in moving a method to the Alliance iS HPLC System. The Intelligent Method Translator App (iMTA) will demonstrate the ability to transcribe critical method parameters from an originator HPLC System to the Alliance iS HPLC System. In addition, Gradient Smart Start will be used to adjust the start of the gradient with respect to injection time (i.e. adjusting the duration of the gradient delay), eliminating the need to make changes to the gradient table to replicate retention times when moving between systems with different gradient delay volumes. This example will demonstrate the ease and added compliance provided in using these embedded software tools in the replication or transfer of an existing method to the Alliance iS HPLC System.

Benefits

  • Automated transcription of existing Empower instrument methods from legacy HPLC systems with Intelligent Method Translator App (iMTA)
  • Ability to emulate or adjust dwell volume with Gradient Smart Start on Alliance iS HPLC System, facilitating method transfer between systems of varying gradient delay volumes

Introduction

In the process of updating or modernizing HPLC systems, the ability to run existing methods on newer systems is typically required. However, moving these legacy methods has the potential to be time-consuming and can result in transcription errors. Copying the instrument methods from the originator system to the receiver system can pose challenges, particularly if nomenclature differences or a complex gradient table are present. In addition, for gradient methods differences in system characteristics, including dwell volume and or gradient delay, can produce differences in retention and selectivity, potentially, between two HPLC Systems.1 The magnitude of the retention time shift will depend on both flow rate and system-to-system differences. For many regulated laboratories, any necessary adjustments often follow regulatory guidelines. For example, in general chapter <621> of the United States Pharmacopeia (USP), changes to the duration of an isocratic hold and/or dwell volume adjustments are allowed when adjustments are necessary.2

Making adjustments for differences in dwell volume can be a laborious process. This activity includes measuring the originator and receiver system’s dwell volume and calculating the difference across systems. With that information, the next step would be to adjust the methods to account for differences in gradient delay. However, changes to the gradient table pose regulatory challenges and can be subject to manual error. Using a tool in the software to adjust the start of the gradient with respect to injection time (i.e. adjusting the duration of the gradient delay) eliminates the need to change the gradient table and reduces potential errors. In this example, the gradient start feature of the Alliance iS HPLC System will be used to adjust its dwell volume to facilitate method transfer from an Arc™ HPLC System.

Experimental

Sample Description

Diclazuril System Suitability Mixture was purchased from USP (Catalog No. 1188560). A solution of 0.5 mg/mL of USP Diclazuril System Suitability Mixture RS (6-Carbaxylic acid, 6-Carboxamide, Diclazuril, Diclazuril ketone, 4-amino derivative, Des-Cyano derivative and Trichlorodiphenyl acetonitrile) in dimethylformamide was prepared and used as the Diclazuril System Suitability Sample.

Method Conditions

A method adapted from the Diclazuril USP Assay monograph was analyzed on an Arc HPLC System.3 The method was then migrated to an Alliance iS HPLC System method using the Intelligent Method Translator App (iMTA) and tested.

LC Conditions

LC system:

Arc HPLC System with 2489 UV/Vis detector,

Alliance iS HPLC System (TUV)

Detection:

UV for all systems (230 nm)

Vials:

LCGC Certified Clear Glass 12 x 32 mm Screw Neck Vial, Max Recovery, with Cap and Preslit PTFE/Silicone Septum (p/n: 186000327C)

Column(s):

XSelect™ HSS T3, 3.5 µm, 4.6 mm x 100, p/n: 186004785

Column temperature:

35 °C

Sample temperature:

Not Controlled

Injection volume:

5 µL

Flow rate:

1 mL/min

Buffer:

6.3 g of ammonium formate in 1000 mL of water, pH Adjusted to 4.0 with anhydrous formic acid

Mobile phase A:

Acetonitrile, water, and Buffer (3:15:2)

Mobile phase B:

Acetonitrile, water, and Buffer (85:5:10)

Data management:

Empower™ 3.7.0

Gradient Table

Gradient Table

Results and Discussion

Creating the Alliance iS HPLC System Instrument Method with the Intelligent Method Translator

USP Diclazuril System Suitability Mixture RS was analyzed on an Arc HPLC System as per the USP monograph. Six replicate injections were used for assessment of system suitability and chromatograph information. To reduce variability, a single sample preparation, mobile phase preparation and column were used for analysis on both systems.

As described above, the analysis was first performed on the Arc HPLC System. After completion of the analysis, the Arc HPLC Empower instrument method was translated using the iMTA (Figure 1) to create the Alliance iS HPLC instrument method. The iMTA can be used to translate or transcribe the Empower instrument methods from select Waters™ and third-party HPLC systems. The method translation process includes a series of steps to populate the Alliance iS HPLC instrument method with the key parameters from the originator method.

1. Translating the key method parameters.

2. Reviewing the Alliance iS HPLC System instrument method input and output.

3. Saving the method.

4. Reviewing and saving a report for documentation traceability (Figure 2). 

The translated method eliminates transcription errors by ensuring the user does not have to manually enter in key instrument parameters, including flow rate, gradient parameters, column temperature and wavelength, among others.

The method created on Arc HPLC System (top) and translated to Alliance iS HPLC System method using the iMTA (bottom)
Figure 1. The method created on Arc HPLC System (top) and translated to Alliance iS HPLC System method using the iMTA (bottom). Parameters for the sample manager, solvent manager, and detector were translated. The method was used to acquire data on the Alliance iS HPLC System.
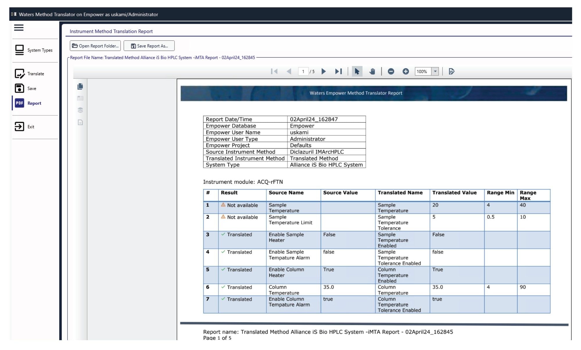
Example of the report generated by the Intelligent Method Translator
Figure 2. Example of the report generated by the Intelligent Method Translator. Report documents User Name, System Name and Instrument Information. Saved as pdf.

Transferring or Moving the Method to the Alliance iS HPLC System

After the instrument method was translated, the analysis was transferred to the Alliance iS HPLC System. For this gradient method, retention time shifts across the different systems are expected due to differences in the dwell volumes. The extent of the retention time shift will vary based on the magnitude of the dwell volume differences as well as flow rate.

Comparison of the separation shows differences in retention time as shown in Figure 3. All peaks elute later on the Alliance iS HPLC System as compared to the Arc HPLC System. Retention time shifts from 0.408 to 0.324 min were observed for peaks 1-7 in the chromatogram (Figure 3 and Table 1). Since only a single value can be used for gradient delay adjustments, the average was calculated and found to be 359 µL.

Overlay of the diclazuril system suitability solution on the  Arc HPLC System (Blue trace) and Alliance iS HPLC System (Black trace)
Figure 3. Overlay of the diclazuril system suitability solution on the  Arc HPLC System (Blue trace) and Alliance iS HPLC System (Black trace). No adjustments for dwell volume were made. Peak labels: 1) 6-Carboxylic acid, 2) 6-Carboxamide, 3) Diclazuril, 4) Diclazuril ketone, 5) 4-Amino derivative 6) Des-cyano derivative 7) Trichlorodiphenyl acetonitrile.
Comparison of retention times observed on Arc HPLC System and Alliance iS HPLC Systems for analysis of diclazuril system suitability mixture
Table 1. Comparison of retention times observed on Arc HPLC System and Alliance iS HPLC Systems for analysis of diclazuril system suitability mixture. Retention time shift and % deviation shown. Averages calculated for retention time shift and % deviation.

One approach to adjust the retention time includes adjusting the initial hold of the gradient. This can be performed manually by adjusting the gradient table; however, the Alliance iS HPLC System provides the user with the opportunity to adjust the gradient start relative to the injection without the need for changing the gradient table via Gradient Start Options in the instrument method. Specifically, the option allows adjustment of the gradient start to occur “at injection”, “before injection”, or “after injection” to compensate for the dwell volume differences between the Alliance iS and other HPLC systems. (Figure 4). Therefore, based on the analysis described above, the Gradient Start Options was adjusted to occur 359 uL before injection, in essence shortening the gradient hold by 359 µL and reducing the dwell volume.

 Instrument editor demonstrating the Gradient Start Options on Alliance iS HPLC System
Figure 4. Instrument editor demonstrating the Gradient Start Options on Alliance iS HPLC System. Gradient start can be adjusted to occur at, before or after the injection. This features allows the initial hold to be adjusted to mimic the dwell volume of another system. In this example, the gradient started prior to injection by 359 µL.

In this example, after adjusting the gradient start, the retention times for peaks one through seven were all within 0.06 minutes of that observed on the Arc HPLC System (Figure 5 and Table 2). On average, for the individual peaks one through seven, the retention time differences decrease by a factor of ten times. The average retention time shift dropped from 0.359 minutes to 0.03 minutes (0.22%).

Through adjustment of the gradient time with respect to the injection using this feature, fine-tuning the retention times on the Alliance iS HPLC System to match those on the Arc HPLC System was possible. Figure 6 depicts the deviation in retention times for different components in the chromatogram with no adjustments for dwell volume and then after dwell volume compensation. The retention time deviation decreased significantly after the dwell volume adjustment with an average decrease of from 2.6% percent to 0.22% for peaks one through seven.

Overlay of the diclazuril system suitability solution on the  Arc HPLC System (Blue trace) and Alliance iS HPLC System (Black trace) after adjustment for dwell volume
Figure 5. Overlay of the diclazuril system suitability solution on the  Arc HPLC System (Blue trace) and Alliance iS HPLC System (Black trace) after adjustment for dwell volume. The gradient start was adjusted on the Alliance iS HPLC System using the Gradient Start Option. The average RT deviation was 0.02 min (absolute). Peak labels: 1) 6-Carboxylic acid, 2) 6-Carboxamide, 3) Diclazuril, 4) Diclazuril ketone, 5) 4-Amino derivative 6) Des-cyano derivative 7) Trichlorodiphenyl acetonitrile.
Comparison of retention times observed on Arc HPLC System and Alliance iS HPLC Systems for analysis of diclazuril system suitability mixture
Table 2. Comparison of retention times observed on Arc HPLC System and Alliance iS HPLC Systems for analysis of diclazuril system suitability mixture. Retention time shift and % deviation shown. Averages calculated for retention time shift and % deviation After adjusting the dwell volume of Alliance iS HPLC System using Gradient Start Option,the average retention time shift dropped to 0.03 min.
 Impact of adjustment of gradient start to adjust dwell volume in method transfer from Arc HPLC System to Alliance iS HPLC System
Figure 6. Impact of adjustment of gradient start to adjust dwell volume in method transfer from Arc HPLC System to Alliance iS HPLC System. By using the Gradient Start Option to emulate the dwell volume of the Arc HPLC System, the retention time % deviation decreased to less than 0.4% for all peaks.

Conclusion

Method transfer or migration across different LC systems can be complex, particularly for gradient methods. To assist in this process, tools have been developed to facilitate moving established methods for analysis on the Alliance iS HPLC System. For example, with the iMTA, instrument methods from Waters HPLC systems and other select HPLC systems can be translated into an Alliance iS HPLC System instrument method. In addition, to compensate for differences in dwell volume across systems, the gradient start relative to the injection can be adjusted, via the Gradient Start Options in the Alliance iS HPLC instrument method. As shown, using this feature to adjust for dwell volume differences, the retention time difference was reduced from 0.3-0.4 minutes to less than 0.06 minutes for selected peaks, on the Alliance iS HPLC System to those on the Arc HPLC System.

References

  1. Hong P, Andrews R, Beals PC, McConville PR, Simplifying Method Transfer: Novel Tools for Replicating your Established Methods on an ACQUITY Arc System. Waters Application Note, 720005469. July 2015.
  2. USP Chapter<621>Harmonization Standards.
  3. DOI: https://doi.org/10.31003/USPNF_M24944_02_01.

720008333, April 2024

Back To Top Back To Top